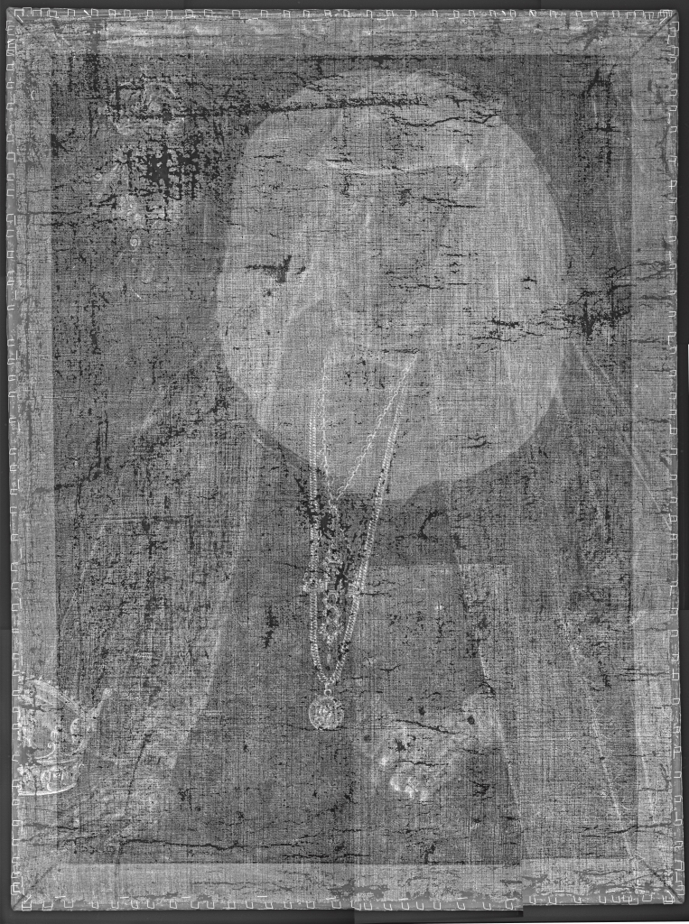
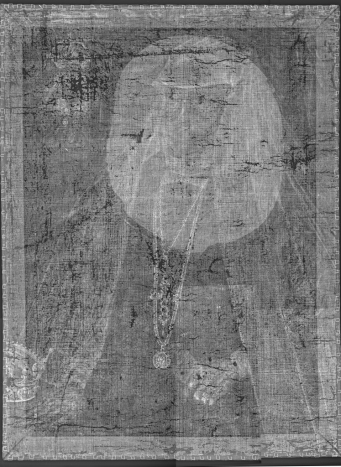
Charakterystyczne podmalowania

Jednym z kluczowych elementów łączących trzy z pięciu badanych obrazów jest obecność dodatkowego, szarego podmalowania na zaprawie pod karnacjami. Na portretach z Muzeum Pałacu w Wilanowie i Muzeum Narodowego w Warszawie podmalowanie to znajduje się jedynie pod twarzą królowej, przybierając kształt dużego owalu. Natomiast na portrecie z Katedry Wawelskiej są dwa owalne podmalowania: jedno pod twarzą, drugie pod dłońmi monarchini. Te elementy widoczne są zarówno w badaniach RTG, jak i na mapach rozkładu ołowiu dla linii L w badaniu MAXRF (wykonanym przez dr Marię Goryl z Zakładu Chemii i Fizyki Konserwatorskiej na Wydziale Konserwacji i Restauracji Dzieł Sztuki Akademii Sztuk Pięknych w Krakowie). Analiza przekrojów poprzecznych wykazała, że podmalowanie wykonano z bieli ołowiowej, z dodatkiem ziaren czerni węglowej.

Wokół atrybucji

Porównania stylistyczne i analiza techniki malowania wskazują, że poszczególne obrazy mogły zostać namalowane przez różnych artystów. Jednakże podobieństwa technologiczne łączą te dzieła z jednym warsztatem. Dalsze badania światłocienia na kotarach, widocznego dzięki analizom fizykochemicznym, porównano z techniką charakterystyczną dla Marcina Kobera. Rodzi się przypuszczenie, że te dzieła mogą pochodzić z jego warsztatu. Jednak aby jednoznacznie przypisać omawiane portrety Koberowi lub jego warsztatowi, konieczne jest przebadanie dzieła z pewnym autorstwem.

Wątpliwości co do autorstwa

Początkowo w projekcie zakładano, że takim referencyjnym obrazem będzie portret z Zamku Królewskiego na Wawelu. Jednakże zarówno badania fizykochemiczne, jak i analiza historyczna sugerują, że obraz ten, choć wysokiej klasy, odbiega pod względem artystycznym i technologicznym od reszty. Rodzi się więc pytanie: czy dzieło to rzeczywiście wyszło spod ręki Marcina Kobera, jak dotąd sądzono? Wstępne wyniki porównawcze prowadzą do wniosku, że to mało prawdopodobne. Kontynuacja projektu będzie zatem obejmować analizę portretu Stefana Batorego z Muzeum Księży Misjonarzy w Krakowie – dzieła sygnowanego przez Kobera.

Analiza portretu Anny Jagiellonki z Zamku Królewskiego w Warszawie potwierdziła, że obraz niewątpliwie pochodzi z przełomu XVI i XVII w. Został on wykonany z mniejszą finezją niż pozostałe przedstawienia. Obok wizerunku z Zamku Królewskiego na Wawelu jest jednak najlepiej zachowanym dziełem w opracowywanym zbiorze. To może oznaczać, że choć nie dorównuje artystycznie innym, pochodzi z solidnego pod względem technologicznym warsztatu i wiernie oddaje wygląd królowej.

Portret z Zamku Królewskiego na Wawelu

Portret z Bazyliki Archikatedralnej na Wawelu

Portret z Muzeum Pałacu Króla Jana III w Wilanowie

Portret z Muzeum Narodowego w Warszawie

Portret z Zamku Królewskiego w Warszawie

„Prace badawcze i konserwatorskie przy wilanowskich Rubensianach oraz portretach Anny Jagiellonki ze zbiorów polskich”.

„Realizacja projektów Rubensiana. Fascynacje kolekcjonerskie w Polsce XVII-XXI w. oraz Portrety Anny Jagiellonki w stroju wdowim w zbiorach polskich”.

Biało-czerwona flaga Polski, godło Polski, logotyp Ministerstwa Kultury i Dziedzictwa Narodowego